family CERAMBYCIDAE Latreille, 1802
subfamily LEPTURINAE Latereille, 1802
tribe Rhagiini Kirby, 1837
genus Stenocorus Geoffroy, 1762
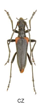
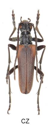
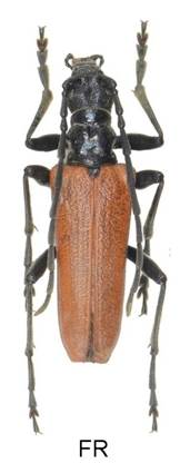
Stenocorus quercus quercus (Götz, 1783)
subgenus Anisorus Mulsant, 1862

















Velikost 12-23 mm.
Bionomie. V nižších polohách v listnatých lesích často společně s následujícím druhem. Spíše teplomilný druh. Švácha (1988) uvádí podobný způsob života jako u S. meridianus. Nalezl více kukel v listopadu a jednu v dubnu a usuzuje, že přezimuje v půdě ve stadiu kukel. - Imaga se vyskytují V. - VIII., maximum druhá polovina V. až VI. Za teplého počasí poletují v korunách stromů a nasedají na listy, velmi často na květech, zejména Swida sanguinea.
Variabilita. Červenohnědá barva na ramenech u samců se může rozšířit na celé krovky, samice mohou mít krovky žluté až černé.
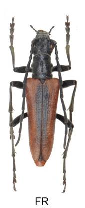
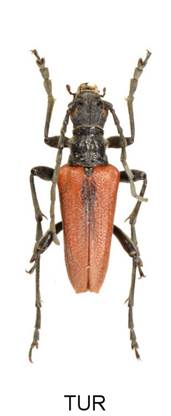
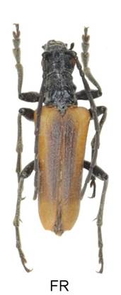
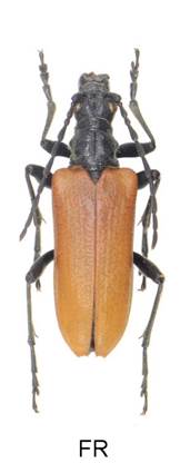
Stenocorus meridianus (Linnaeus, 1758)
subgenus Stenocorus Geoffroy, 1762


Bionomie. V nižších polohách v listnatých lesích často společně s předchozím druhem. Spíše teplomilný druh. Švácha (1988), který uvádí podobný způsob života jako u předchozího druhu. Nalezl více kukel v listopadu a jednu v dubnu a usuzuje, že přezimuje v půdě ve stadiu kukel. - Imaga se vyskytují V. - VIII., maximum druhá polovina V. až VI. Za teplého počasí poletují v korunách stromů a nasedají na listy, velmi často na květech, zejména Swida sanguinea.
Živné rostliny - Quercus, Acer campestre.
Variabilita. Velmi variabilní druh. Krovky i nohy mohou být celá světlé, částečně tmavé až celé černé.